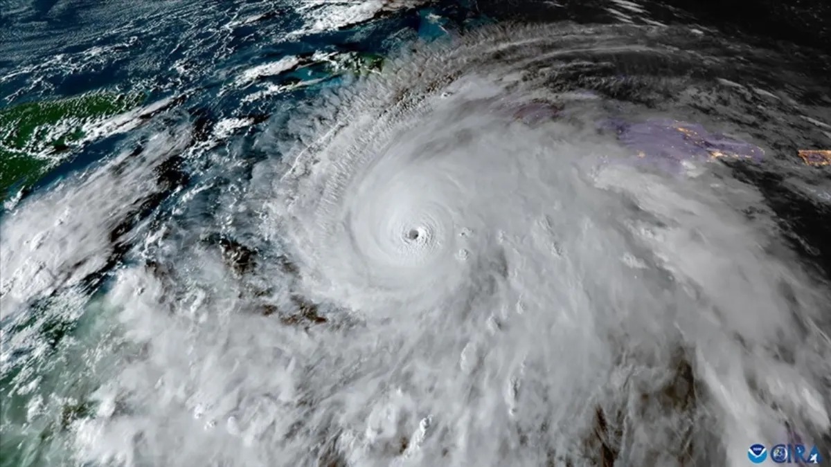
Haiti və Yamaykada "Melissa" qasırğası nəticəsində ölənlərin sayı 75-ə çatıb


  • 13:34

"Melissa" qasırğasının yaratdığı daşqınlar nəticəsində ölənlərin sayı artmaqdadır.

E-huquq.az yerli mətbuata istinadən xəbər verir ki, bu barədə Haiti Mülki Müdafiə Departamenti məlumat yayıb.

Məlumata görə, Haitidə qasırğada zamanı 43 nəfərin ölüb, 7 nəfər isə itkin düşüb.

Həmçinin 11 952 ev su altında qaldığı, 176 evin tamamilə dağılıb, 4 257 evə isə müxtəlif dərəcəli ziyan dəyib.

Yamaykanın Baş naziri Endryu Holness jurnalistlərə açıqlamasında indiyədək təbii fəlakətdə 32 nəfərin öldüyünü və maddi ziyanın 6-7 milyard dollar arasında qiymətləndirildiyini bildirib.

"Qasırğa gəlir səviyyəsinə və yerli iqtisadiyyatlara ağır zərbədir. Biz görünməmiş bir fəlakət yaşayırıq. Sent Elizabeth, Westmoreland, Saint James, Trelawny və Saint Ann kimi turizm şəhərləri ağır zərbələrə məruz qalıb" -deyə baş nazir bildirib.

Kubada Melissa qasırğası nəticəsində ölənlərin sayı hələ açıqlanmayıb.

BMT-nin məlumatına görə, Kubada təxminən 60 000 yaşayış məntəqəsi, 461 sağlamlıq mərkəzi və 1552 məktəb zərər görüb.

Şəbnəm Mehdizadə

Oxşar xəbərlər